
해당 이미지를 클릭하면 원글로 이동합니다. :)
안녕하세요. SD동물의료센터/메디엘동물병원입니다.
오늘은 한 아이가 양측 슬개골 탈구 수술을 두 번에 걸쳐서 하게 된 케이스를 포스팅하겠습니다.
[강아지 해당 환자 정보]
견종 : 비숑프리제
나이 : 1살 6개월령
몸무게 : 9kg
이 환자는 예전에 다른 병원에서 슬개골 탈구 2기를 진단받았으나, 다리를 절거나, 아파하는 증상이 없었습니다.
하지만 2주 전에 갑자기 소리를 지르면서 다리를 절기 시작하여 내원해 주셨습니다.
저희 SD동물의료센터/메디엘동물병원에서는 아이에 대한 정확한 진단과 상태 파악을 위하여 방사선 검사를 진행하였습니다.


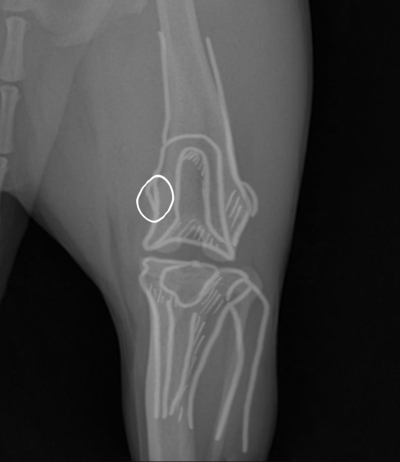
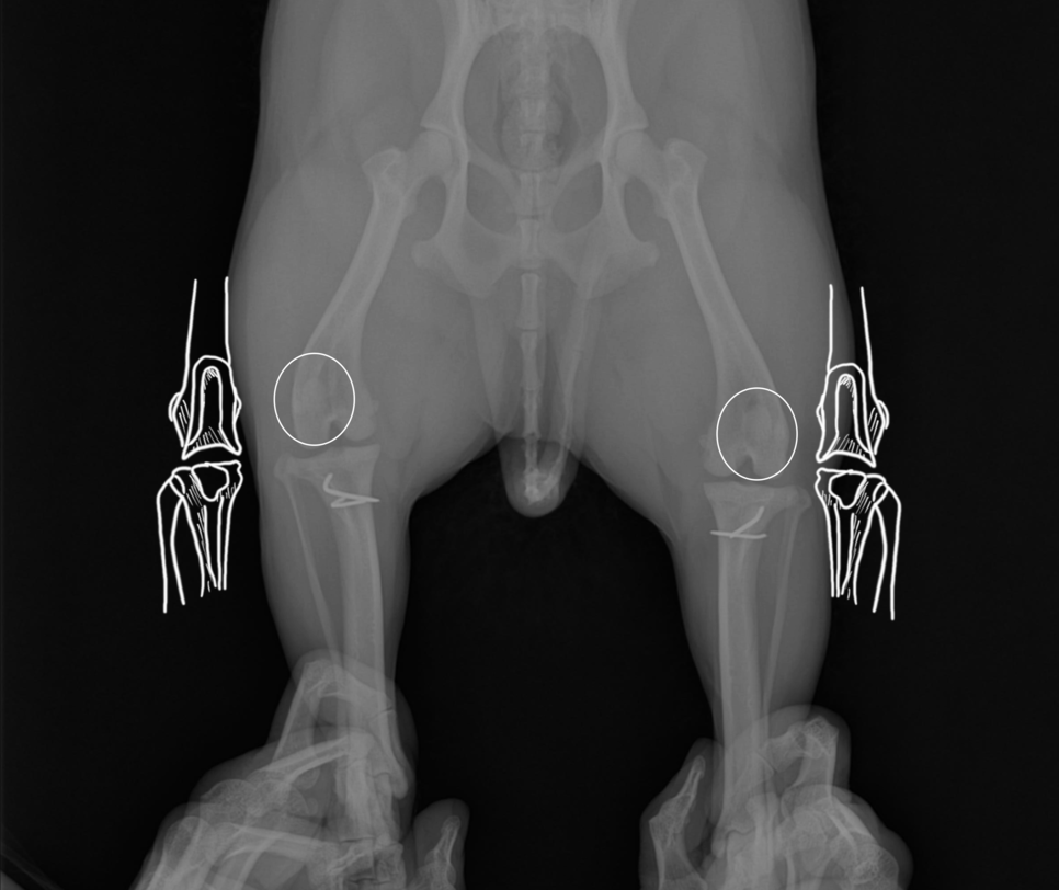
환자의 뒷다리 방사선 사진 / 환자의 왼쪽 다리 세부 사진
환자의 방사선 사진입니다. 오른쪽 다리는 1기, 왼쪽 다리는 슬개골 탈구 3기 진단을 받았습니다.
사진에 보시면 왼쪽 다리의 경우 정상 위치(무릎의 중앙)에 있어야 할 슬개골이 내측으로 빠져있는 것을 볼 수 있습니다.
아직 슬개골 탈구가 1기인 오른쪽 다리는 무릎의 중앙에 위치하고 있는 것을 비교하여 볼 수 있습니다.
슬개골 탈구의 단계
1기 : 평소에는 정상 위치(무릎의 중앙)에 있으나, 자세와 보행에 따라 가끔 빠집니다.
2기 : 반복적으로 정상 위치에서 빠집니다. 무릎에서 소리가 나거나 다리를 들기 시작합니다.
3기 : 대게는 정상 위치에서 빠져있습니다. 원위치로 밀어 넣으면 돌아갑니다.
4기 : 항상 정상 위치에서 빠져있습니다. 원위치로 밀어 넣어도 돌아가지 않고, 다리에 변형이 옵니다.
환자는 오른쪽 다리는 초기이기도 하고, 불편해하지 않아서 수술을 하지 않기로 결정하셨습니다.
수술은 당장 아파하는 왼쪽 다리에 활차구성형술,지대중첩술,경골조면변위술을 진행하기로 결정되었습니다.

환자의 수술 전 / 수술 후 사진입니다.
환자의 수술 전 / 수술 후 사진입니다. 활차구 성형술을 진행하여, 얕게 있던 고랑을 깊게 파 주었습니다.
이후 지대중첩술과 경골조면변위술을 진행하여 돌아가 있던 무릎의 각도를 잡아주었습니다

환자의 수술 직후 사진입니다.
수술 직 후, 내측으로 빠져있던 슬개골이 정상 위치로 돌아온 것이 확인됩니다.
환자는 큰 무리 없이 퇴원하였고, 2달간 주기적으로 방사선촬영으로 슬개골 상태를 확인하였습니다.
그러나 새벽에 소리를 꽥 지르며 오른쪽 뒷다리를 절기 시작하여서 다시 방사선 사진을 촬영하게 되었습니다.

환자의 슬개골 사진입니다.
두 달 전, 수술한 왼쪽 슬개골은 잘 유지되고 있는 모습이 확인됩니다.
당장 아파하는 오른쪽 다리는 방사선 상으로 정상 위치에 확인되나, 빠졌다 들어갔다 하는 상태였습니다.
환자는 오른쪽 다리 슬개골 탈구 2단계를 진단받았고, SD동물의료센터/메디엘동물병원에서 수술 일정을 다시 잡게 되었습니다.
슬개골 탈구의 단계와, 아이의 통증은 반드시 비례하지 않습니다.
1기의 단계에서도 아파하는 아이들이 있고, 4기의 단계에서도 아파하지 않는 아이들도 있습니다.
아파하지 않는다고 방치하게 되면 아이의 관절에 더욱 무리를 줄 수 있습니다.
평소에 자주 아이의 걸음걸이와 뛸 때 다리를 드는지, 소리가 나는지 예민하게 체크해 주세요. 혹시나 소리가 나거나 뛸 때 다리를 들거나
걱정이 된다면 병원으로 내원해 주세요.
슬개골 탈구의 경우에는 방사선사진촬영과 간단한 신체검사로 진단이 가능합니다.

오른쪽 다리도 왼쪽 다리와 마찬가지로 활차 구성형술과 지대중첩,경골조면변위술이 진행되었습니다.

양측 슬개골 수술이 끝난 사진
환자는 수술한 날짜는 다르나, 결과적으로 양측 슬개골을 모두 수술하게 되었고, 큰 이상 없이 퇴원하였습니다.
그 이후 내원하여 진행한 보행 평가와 방사선 검사도 문제없이 치료 종료되었습니다.
우리 아이 걸음걸이가 이상하고 아파한다면, 더 큰 병이 되기 전에 꼭 병원으로 내원해 주세요.
SD동물의료센터/메디엘동물병원이였습니다.

해당 이미지를 클릭하면 원글로 이동합니다. :)
해당 이미지를 클릭하면 원글로 이동합니다. :)
안녕하세요. SD동물의료센터/메디엘동물병원입니다.
오늘은 한 아이가 양측 슬개골 탈구 수술을 두 번에 걸쳐서 하게 된 케이스를 포스팅하겠습니다.
[강아지 해당 환자 정보]
견종 : 비숑프리제
나이 : 1살 6개월령
몸무게 : 9kg
이 환자는 예전에 다른 병원에서 슬개골 탈구 2기를 진단받았으나, 다리를 절거나, 아파하는 증상이 없었습니다.
하지만 2주 전에 갑자기 소리를 지르면서 다리를 절기 시작하여 내원해 주셨습니다.
저희 SD동물의료센터/메디엘동물병원에서는 아이에 대한 정확한 진단과 상태 파악을 위하여 방사선 검사를 진행하였습니다.
환자의 뒷다리 방사선 사진 / 환자의 왼쪽 다리 세부 사진
환자의 방사선 사진입니다. 오른쪽 다리는 1기, 왼쪽 다리는 슬개골 탈구 3기 진단을 받았습니다.
사진에 보시면 왼쪽 다리의 경우 정상 위치(무릎의 중앙)에 있어야 할 슬개골이 내측으로 빠져있는 것을 볼 수 있습니다.
아직 슬개골 탈구가 1기인 오른쪽 다리는 무릎의 중앙에 위치하고 있는 것을 비교하여 볼 수 있습니다.
슬개골 탈구의 단계
1기 : 평소에는 정상 위치(무릎의 중앙)에 있으나, 자세와 보행에 따라 가끔 빠집니다.
2기 : 반복적으로 정상 위치에서 빠집니다. 무릎에서 소리가 나거나 다리를 들기 시작합니다.
3기 : 대게는 정상 위치에서 빠져있습니다. 원위치로 밀어 넣으면 돌아갑니다.
4기 : 항상 정상 위치에서 빠져있습니다. 원위치로 밀어 넣어도 돌아가지 않고, 다리에 변형이 옵니다.
환자는 오른쪽 다리는 초기이기도 하고, 불편해하지 않아서 수술을 하지 않기로 결정하셨습니다.
수술은 당장 아파하는 왼쪽 다리에 활차구성형술,지대중첩술,경골조면변위술을 진행하기로 결정되었습니다.
환자의 수술 전 / 수술 후 사진입니다.
환자의 수술 전 / 수술 후 사진입니다. 활차구 성형술을 진행하여, 얕게 있던 고랑을 깊게 파 주었습니다.
이후 지대중첩술과 경골조면변위술을 진행하여 돌아가 있던 무릎의 각도를 잡아주었습니다
환자의 수술 직후 사진입니다.
수술 직 후, 내측으로 빠져있던 슬개골이 정상 위치로 돌아온 것이 확인됩니다.
환자는 큰 무리 없이 퇴원하였고, 2달간 주기적으로 방사선촬영으로 슬개골 상태를 확인하였습니다.
그러나 새벽에 소리를 꽥 지르며 오른쪽 뒷다리를 절기 시작하여서 다시 방사선 사진을 촬영하게 되었습니다.

환자의 슬개골 사진입니다.
두 달 전, 수술한 왼쪽 슬개골은 잘 유지되고 있는 모습이 확인됩니다.
당장 아파하는 오른쪽 다리는 방사선 상으로 정상 위치에 확인되나, 빠졌다 들어갔다 하는 상태였습니다.
환자는 오른쪽 다리 슬개골 탈구 2단계를 진단받았고, SD동물의료센터/메디엘동물병원에서 수술 일정을 다시 잡게 되었습니다.
슬개골 탈구의 단계와, 아이의 통증은 반드시 비례하지 않습니다.
1기의 단계에서도 아파하는 아이들이 있고, 4기의 단계에서도 아파하지 않는 아이들도 있습니다.
아파하지 않는다고 방치하게 되면 아이의 관절에 더욱 무리를 줄 수 있습니다.
평소에 자주 아이의 걸음걸이와 뛸 때 다리를 드는지, 소리가 나는지 예민하게 체크해 주세요. 혹시나 소리가 나거나 뛸 때 다리를 들거나
걱정이 된다면 병원으로 내원해 주세요.
슬개골 탈구의 경우에는 방사선사진촬영과 간단한 신체검사로 진단이 가능합니다.
활차구 성형술로 고랑을 깊게 파 준 사진
오른쪽 다리도 왼쪽 다리와 마찬가지로 활차 구성형술과 지대중첩,경골조면변위술이 진행되었습니다.
양측 슬개골 수술이 끝난 사진
환자는 수술한 날짜는 다르나, 결과적으로 양측 슬개골을 모두 수술하게 되었고, 큰 이상 없이 퇴원하였습니다.
그 이후 내원하여 진행한 보행 평가와 방사선 검사도 문제없이 치료 종료되었습니다.
우리 아이 걸음걸이가 이상하고 아파한다면, 더 큰 병이 되기 전에 꼭 병원으로 내원해 주세요.
SD동물의료센터/메디엘동물병원이였습니다.
해당 이미지를 클릭하면 원글로 이동합니다. :)